-
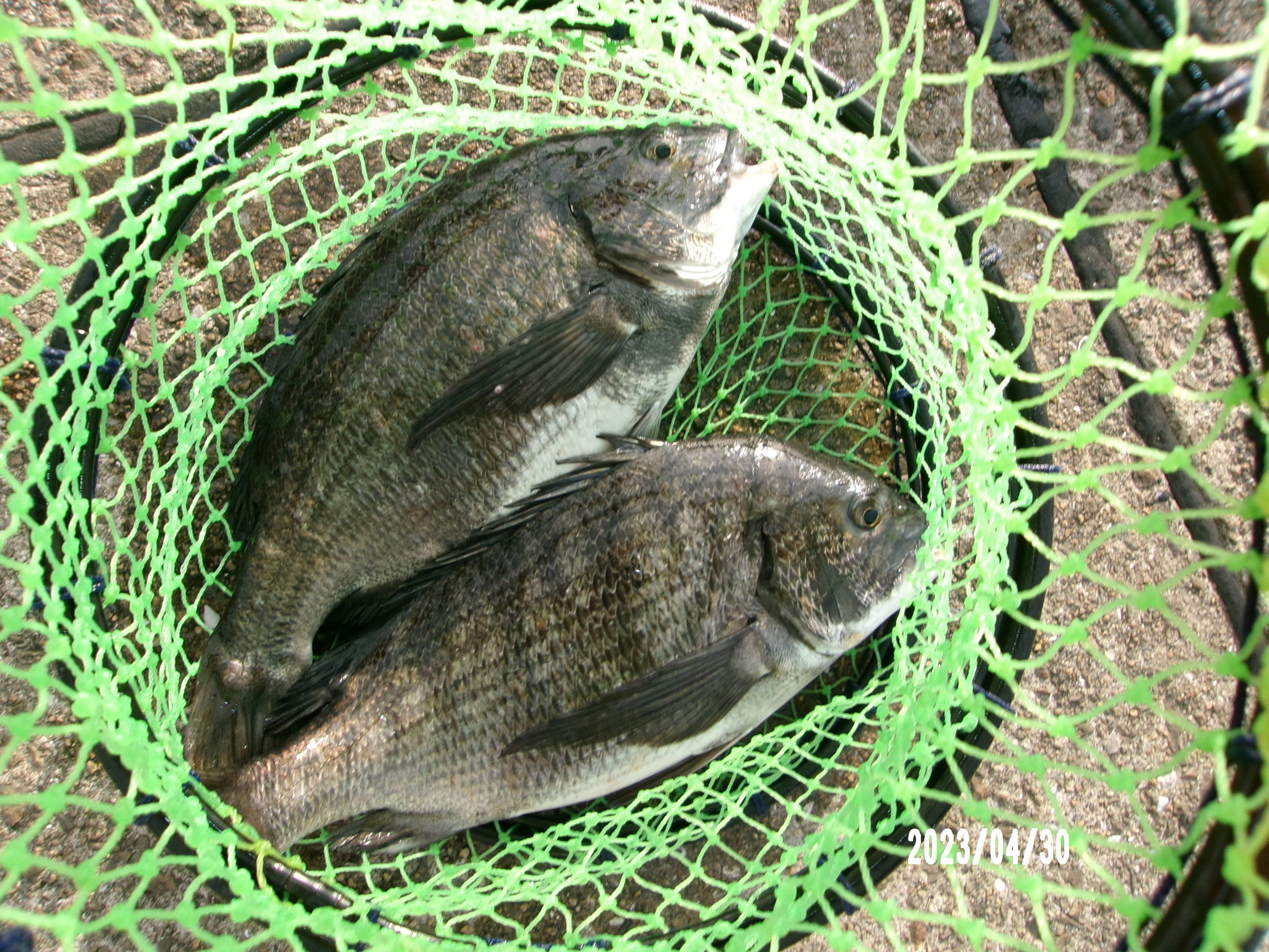
2023年4月30日(日)
- 天気:雨
- 潮:若潮
- 水温:15.5℃
- 気温:16.0℃
- キビレ 38㎝ 合計 1 匹
- チヌ 45ー50㎝ 合計 3 匹
- アイナメ 8㎝ 合計 1 匹
- アジ 13-20㎝ 合計 10 匹
4月29日(土)から5月7日(日)まで限定特別企画です。
お客様入園時に雨が降っていたら、ポイントカード2倍押し!!!
西の風6~8m、白波が立っています。
6時の開場時から雨の中数名の方がお越しで、ノマセ釣りの方・サビキ釣りの方・ブッコミ釣り方といろんな釣り方で魚を釣られています。管理棟前でブッコミ釣りの方が、朝一キビレの38cmをゲットされました。一時風がおさまっていましたが、9時頃からまた6~8mの南西の風が吹いてきて釣りづらくなってきました。11時頃、西側でフカセ釣りの方が50cmのチヌを上げられていました。
14時半、94名のお客様が釣りを楽しんでおられます。雨も止み日曜日とあってたくさんのご家族様がお見えになられておられます。風速、南西3m/s 気温17℃となっています。釣果の方は雨も影響してか?サビキは釣れていません。夕方に期待したい所です。
15時、小さな魚アイナメが釣れました。8㎝でエビ撒きで、餌はシラサエビです。
18時、お客様は80名いらっしいます鳴尾浜です。今日は、先程、アジが釣れています。少ないですが20㎝前後のアジが釣れています。
チヌハネダービー最終結果発表!
4月1日から4月28日まで続いたチヌハネダービーもついに終了!
皆さんのご参加ありがとうございました。
入賞されました方は賞品をお渡ししますので、次回ご来場の時に管理棟にてお申し出下さい。
☆チヌ部門
優勝 田中 様 尼崎市 6.38kg
準優勝 松尾 様 豊中市 5.88kg
準準優勝 東 様 吹田市 5.85kg
☆ハネ部門
優勝 瀬戸口 様 宝塚市 4,82kg
準優勝 宮井 様 西宮市 4,30kg
準準優勝 保井 様 西宮市 4,09kg
以上
-
2023年4月29日(土)
- 天気:晴れ
- 潮:長潮
- 水温:16.0℃
- 気温:13.0℃
- アジ 13~16cm 合計 81 匹
- キビレ 35cm合計 1 匹
- ハネ 45~55cm合計 2 匹
- チヌ 38cm合計 1 匹
4月29日(土)から5月7日(日)まで限定特別企画です。
お客様入園時に雨が降っていたら、ポイントカード2倍押し!!!
開園時、波風共に穏やかです。
天気予報とは違い晴れています。GW初日とあり、多くのお客様が釣りを楽しみに来られているのですが、サビキ釣りは釣れていません。
カタクチイワシが悠々と泳いでいるのですが、ハリには掛かりません。それどころか、撒き餌をまいても避けて通って行く始末です。どうなっちゃているのでしょう。
エビ撒き釣りではキビレ、ハネが上がっています
15時頃、小雨が降ってきはじめました。アジが2匹上がりました。
16:20 アジが10匹上がりました。
18:20 雨は本降りに、アジ13-16cmが9匹上がりました。
夕方、短時間にアジ60匹上がりました。
-
2023年4月28日(金)
- 天気:晴れ
- 潮:小潮
- 水温:15.0℃
- 気温:12.0℃
- チヌ 32㎝-43cm合計 4 匹
- スズキ 70.5cm 合計 1 匹
- キビレ 40㎝ 合計 1 匹
- アジ 16-18㎝ 合計 30 匹
開園時波風共に穏やかです。
本日チヌ・ハネダービー最終日。
エントリーされた方は少しでも重量をあげようと朝から頑張っていらっしいます。
7時頃に落とし込みの方が35cmのチヌを1尾、9時ほどにブッコミ釣り(エサはコーン)の方が43cmのチヌをあげられて追加登録されました!
結果はまだ変わる可能性もありますね。
その他本日は、青イソメと青コガネをつけたブッコミ釣りでスズキ70.4cmあげられました!
半ば諦めかけていた時に掛かったとの事!
あと少しだったのですが、惜しくも月間大物賞更新にはならずでした・・。
サビキ釣りの方も、今か今かと待っている方も多いのですが、本日も朝は回遊する魚の姿は見られず悲しい結果に終わっております。
12時現在、5m/sの風がでてきており、波もあるのでアタリが分かりづらく少し釣りにくい鳴尾浜となっております。
今週土日やゴールデンウィーク中も雨予報でしたり、気温の低下など天気の周期変化がありますので皆様お気を付けてお越し下さいね。
17時過ぎ現在、20名程のお客様が釣りを楽しんでいらっしゃいますが風波共に強くて皆様釣りにくそうにしています。サビキ釣りでの釣果は今の所無いですが昨日のように18時頃から釣れれば良いのですが❓今日も18時頃からアジが釣れ出して来て皆様数匹ずつ釣れたそうです。 -
2023年4月27日(木)
- 天気:晴れ
- 潮:小潮
- 水温:14.0℃
- 気温:10.0℃
- ハネ 51-58cm 合計 5 匹
- チヌ 40㎝ 合計 1 匹
- アジ 15-18㎝ 合計 20 匹
開園時、波共に穏やかです。気温10,0℃と、肌寒い朝です。
重要【 海づり広場、正面入口と管理棟通路の舗装工事 】
本日27日(木)明日28日(金)と、海づり広場入口及び管理棟通路の舗装工事の為、一部通路が狭くなっている所があるので気を付けてお入りください。
とても良いお天気なので、サビキ釣りの方も多くいらっしゃっておりますが、まったく釣れていません。
エビ撒き釣りやフカセ釣りではチヌ、ハネが上がっています。
18時半、8名のお客様が釣りをされていらっしいます。アジ(15-18㎝)が7匹釣れました。風速西2m/s気温16℃の鳴尾浜です。
21時半、お客様は3名いらっしゃいます。夕方から今日はアジがちょこちょこ釣れています。また、明日も釣れますように、本日もありがとうございました。
-
2023年4月26日(水)
- 天気:雨
- 潮:小潮
- 水温:14.5℃
- 気温:15.0℃
- チヌ 35㎝ 合計 1 匹
風・波共に穏やかです。
雨の中お二人のお客様が入られ釣りをされています。10時現在、朝から雨が強くなったりして釣りが出来る状態ではない時もあり、朝からのお二人も帰られ現在0人です。釣果も無く寂しい海づり広場です。昼頃から小降りになった途端数名のお客様が入られ、少しは賑わって来ました。釣果は無しです。
只今、15時、風速北5m/s気温15℃の鳴尾浜です。
15時、雨も止み、静かな鳴尾浜です。舗装工事も無事終わりました。
ご協力ありがとうございました。
重要【 海づり広場、正面入口と管理棟通路の舗装工事 】
本日26日(水)、海づり広場入口と管理棟通路の舗装工事を完了いたしました。1日~2日の養生が必要な為、一部通路が狭くなっている所があるので気を付けてお入りください。
夕方頃、35cmのチヌが1匹あがりました。また、明日に期待しましょう。本日もありがとうございました。 -
2023年4月25日(火)
- 天気:曇り
- 潮:中潮
- 水温:14.0℃
- 気温:11.0℃
- チヌ 42~46cm 合計 3 匹
- ハネ 57cm 合計 1 匹
開園時、波風共に穏やかです。今にも降り出しそうな空です。
降ったり止んだりの中での釣りですがサビキ釣りの方はおらず、チヌ、ハネを狙っている方が4名来ておられます。
釣果は、チヌ3、ハネ1で、タナはいずれも底です。
ハネをエビ撒き釣りで上げられた方のお話では、釣れた後に口からオキアミや、ドロッとしたモノ(おそらく撒き餌)を吐き出したそうです。ハネも色々な物を食べているのですね。
これから、雨風が強くなりそうです。釣りには、厳しい状況です。
只今、入口の舗装工事をされております。お客様は現在1名釣りをされておられます。風速、北東2m/s気温15℃の鳴尾浜です。
21時半、雨が降り続いて、お客様は居られません。静かな鳴尾浜です。釣果は朝釣れてから釣れていません。 -
2023年4月24日(月)
- 天気:曇り
- 潮:中潮
- 水温:14.0℃
- 気温:11.0℃
- チヌ 49㎝ 合計 1 匹
- アジ 12cm~14㎝ 合計 16 匹
重要【 海づり広場、正面入口と管理棟通路の舗装工事 】
本日、4月24日(月)~26日(水)の3日間、海づり広場入口と管理棟通路の舗装工事を行います。※日時について天候などで変化する可能性があります。
24日の開園から8時頃までは通常通り正面入口のご利用が可能ですが、工事が始まりますと、正面入口を閉鎖致しますので、係員の誘導に従い仮設された入口(黒の大きな門)から入場を行って下さい。
券売機の利用が出来ない時間帯もありますので、チケットの販売は仮設入口近くに設置した販売所でスタッフから購入をお願い致します。
《 海づり入口と管理棟通路舗装工事詳細リンク 》
本日、チヌハネ残り4日間の中記録更新のため、大物を狙っていらっしゃるお客様がいますが、13時現在釣果はチヌ1匹となっております。
ここ最近サビキも釣れず釣果が少し落ちてきており、寂しい鳴尾浜となっております。
開園から1時間後にあがったチヌ1匹は49cmと大きいサイズ!
フカセ釣りであげられました。
ただ、そこからアタリはないようで・・・・。
他にもチヌ狙いの方がいらっしゃいますが、ボラが多くボラのアタリはあるけれども肝心なチヌのアタリが無いとの事。
お一人は1回大きいサイズのチヌがかかりましたが、ばらしてしまったようです・・・。
今日の夕方には久々にアジがまわるといいのですが・・・!
また、本日少し肌寒くなっております。
多くのお客様が来園されるであろうゴールデンウィークも雨予報もあり平年より気温が低く寒くなる予定となっております。
季節の変わり目でもありますので、体調崩されないよう、無理をせずお越し下さい。
午後も西北西の風で肌寒い気候となっています。
期待のアジは夕方に短い時合があって、お一人5-6匹釣られました。 -
2023年4月23日(日)
- 天気:晴れ
- 潮:中潮
- 水温:15.0℃
- 気温:10.0℃
- チヌ 30~50cm 合計 4 匹
- キビレ 34~40cm 合計 2 匹
- スズキ 61cm 合計 1 匹
- スズキ 67cm 合計 1 匹
- チヌ 45cm 合計 1 匹
- キビレ 20cm 合計 2 匹
開園時、波風共に穏やか。気持の良い朝です。
このお天気で釣れたらいいのになぁ.....
サビキ釣りは今日もガックリな状況です。あいかわらず良いのは天気だけで、ボラもあまり元気がありません。ノンビリと過ごすには良いのですが、チビッ子たちは退屈してしまっています。早く釣れるようになって欲しいですね。
チヌ、ハネは昨日に比べれば少し釣れています。50cmと良型も釣れているので、午後からに期待したいですね。昨日と同様今日もアジは釣れませんでした。残念、明日に期待しましょう。
17時現在、沢山のお客様が釣りを楽しんでおられます、その中でサビキ釣りでの釣果は今の所何も釣れてませんがもう少し待てば釣れて欲しいものですね。昨日と同様今日もアジは釣れませんでした。残念、明日に期待しましょう。
午後14時20分鳴尾浜海づり広場は満員状態になりました。 -
2023年4月22日(土)
- 天気:晴れ
- 潮:中潮」
- 水温:15.0℃
- 気温:11℃
- チヌ 36-48㎝ 合計 2 匹
開園時、波風共に穏やか。良い天気ですが、肌寒い朝です。
今日の午前中も大変厳しい現状です。
サビキはもちろん、調子の良かったチヌやハネも上がっていません。カタクチイワシの魚影はたまに見るのですが、ハリにはかからずです。ただ天気が良い日となっています。
午後4時現在、西北西の風3-5m、晴れ、19.5℃。午前の解説にもありますが今日はチヌが1匹釣れただけで釣果が全然芳しくないです。
夕方に期待していますが、どうでしょうかね。
夕方6時前にシラサ落とし込みでチヌ48㎝釣れました。
小あじを期待される方々が多いのですが今日は全く空振りです。 -
2023年4月21日(金)
- 天気:晴れ
- 潮:大潮
- 水温:16.0℃
- 気温:15.0℃
- チヌ 42~45cm 合計 2 匹
- キビレ 42㎝ 合計 1 匹
- ハネ 50cm 合計 1 匹
- アジ 12-20㎝ 合計 15 匹
開園時、穏やかな朝です。波風共に静か。
とても穏やかな絶好の釣り日和となっています。が、なぜかこの様な日はなかなか釣果に結びつかない日が多い様な気がするのは私だけでしょうか。
午前中、サビキ釣りをされている方は今日も少なく、釣果も出ていません。カタクチイワシが泳いでいる姿はキラキラと良く見かけるのですが、なかなかハリには掛からないようです。
しっかりと釣果が期待できる日はいつになるのでしょう。
18時現在、北6m/s気温14℃の鳴尾浜です。お客様は10名いらっします。夕方、時々サビキでアジが釣れています。
アジは全部で15匹釣れました。大きさがちょうどいい大きさなので、食べやすいサイズで美味しそうです。
21時、静かな鳴尾浜です。本日もありがとうございました。
ARCHIVE アーカイブ
- 2028年12月 (1)
- 2026年5月 (20)
- 2026年4月 (30)
- 2026年3月 (31)
- 2026年2月 (28)
- 2026年1月 (28)
- 2025年12月 (28)
- 2025年11月 (30)
- 2025年10月 (31)
- 2025年9月 (30)
- 2025年8月 (31)
- 2025年7月 (31)
- 2025年6月 (30)
- 2025年5月 (31)
- 2025年4月 (30)
- 2025年3月 (31)
- 2025年2月 (23)
- 2025年1月 (27)
- 2024年12月 (26)
- 2024年11月 (30)
- 2024年10月 (31)
- 2024年9月 (30)
- 2024年8月 (26)
- 2024年7月 (31)
- 2024年6月 (30)
- 2024年5月 (31)
- 2024年4月 (30)
- 2024年3月 (31)
- 2024年2月 (28)
- 2024年1月 (28)
- 2023年12月 (28)
- 2023年11月 (30)
- 2023年10月 (31)
- 2023年9月 (30)
- 2023年8月 (30)
- 2023年7月 (31)
- 2023年6月 (30)
- 2023年5月 (31)
- 2023年4月 (30)
- 2023年3月 (31)
- 2023年2月 (28)
- 2023年1月 (28)
- 2022年12月 (28)
- 2022年11月 (30)
- 2022年10月 (31)
- 2022年9月 (31)
- 2022年8月 (32)
- 2022年7月 (31)
- 2022年6月 (30)
- 2022年5月 (31)
- 2022年4月 (28)
- 2022年3月 (31)
- 2022年2月 (27)
- 2022年1月 (28)
- 2021年12月 (28)
- 2021年11月 (30)
- 2021年10月 (31)
- 2021年9月 (30)
- 2021年8月 (31)
- 2021年7月 (31)
- 2021年6月 (30)
- 2021年5月 (31)
- 2021年4月 (30)
- 2021年3月 (31)
- 2021年2月 (28)
- 2021年1月 (28)
- 2020年12月 (28)
- 2020年11月 (30)
- 2020年10月 (31)
- 2020年9月 (30)
- 2020年8月 (31)
- 2020年7月 (31)
- 2020年6月 (30)
- 2020年5月 (3)
- 2020年4月 (13)
- 2020年3月 (31)
- 2020年2月 (27)
- 2020年1月 (28)
- 2019年12月 (28)
- 2019年11月 (30)
- 2019年10月 (31)
- 2019年9月 (30)
- 2019年8月 (34)
- 2019年7月 (32)
- 2019年6月 (30)
- 2019年5月 (31)
- 2019年4月 (30)
- 2019年3月 (31)
- 2019年2月 (25)
- 2019年1月 (28)
- 2018年12月 (28)
- 2018年11月 (12)
- 2018年9月 (5)
- 2018年8月 (33)
- 2018年7月 (31)
- 2018年6月 (30)
- 2018年5月 (31)
- 2018年4月 (30)
- 2018年3月 (31)
- 2018年2月 (28)
- 2018年1月 (28)
- 2017年12月 (28)
- 2017年11月 (30)
- 2017年10月 (31)
- 2017年9月 (30)
- 2017年8月 (31)
- 2017年7月 (31)




































