-
2025年4月30日(水)
- 天気:晴れ
- 潮:中潮
- 水温:13.0℃
- 気温:9.0℃
- カタクチイワシ 5-10cm合計 10 匹
- コノシロ 23-25cm合計 8 匹
- サッパ 8-10cm合計 35 匹
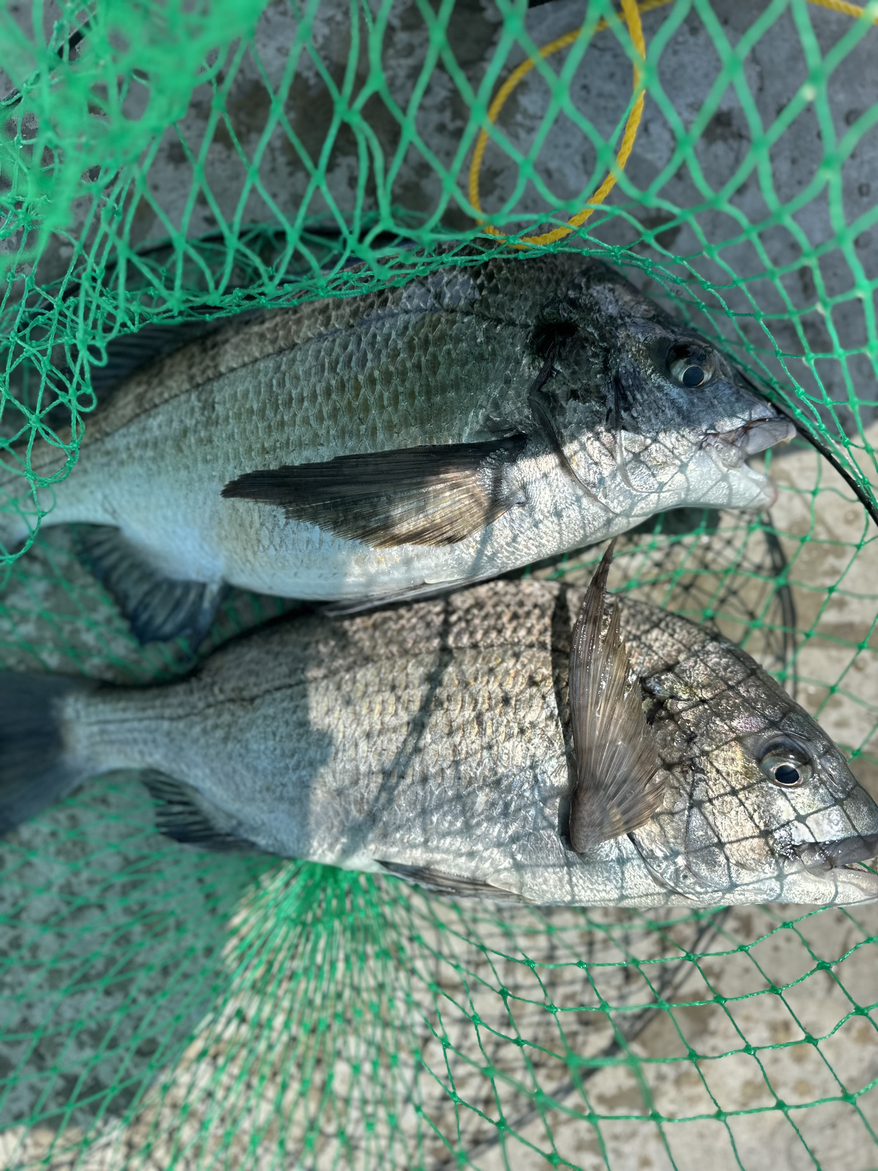
- チヌ 45㎝ 合計 1 匹
【営業時間変更のお知らせ】
明日から開園時間変更です。5:00~20:00営業になりますのでご注意ください
開園時、波風共に穏やかです。
昼過ぎからサッパ、コノシロあがってます!
本日平日ではございますが、お客様でにぎわっております。
ただ、魚の賑わいは少なく、サビキの釣果もあまり出ていません。
明日から開園時間が早まりますので、期待したいですね!
チヌの釣果もでておりません。
-
2025年4月29日(火)
- 天気:晴れ
- 潮:大潮
- 水温:14.0℃
- 気温:13.0℃
- チヌ 38-49㎝ 合計 3 匹
- キビレ 30-38cm合計 2 匹
- カタクチイワシ 6-8㎝ 合計 55 匹
- サッパ 8-10㎝ 合計 20 匹
- グレ 18-20cm合計 3 匹
【チヌ・ハネダービー最終結果発表!!】
《 詳細リンク 》
開園時、波風共に穏やかです。
今朝の鳴尾浜は風が冷たく肌寒い感じでした。サビキは不調でカタクチイワシもパラパラと釣れているだけでした夕方に期待ですね。
チヌはフカセの方が49cm、ダンゴ釣の方が43cmとあげられています。
午後もカラッとしたお天気でした。残念ながら釣果はほとんど午前中に限られました。 -
2025年4月28日(月)
- 天気:曇り
- 潮:大潮
- 水温:14.0℃
- 気温:18.0℃
- チヌ 42㎝ 合計 1 匹
- カタクチイワシ 5-8cm 合計 20 匹
- サッパ 6-8㎝ 合計 10 匹
- コノシロ 24-26cm 合計 6 匹
開園時、波風共に穏やかです。
チヌ、ハネダービー最終日です。
今朝のサビキは数は少ないもののカタクチイワシ、サッパ、コノシロが釣れていました。
カタクチイワシは回遊が見えてはいますが撒き餌に反応せず釣れにくいようです。
チヌはオキアミ餌のフカセ釣で釣れています。
昼からの雨で来園者も少なく、釣果も午後からはありませんでした。 -
2025年4月27日(日)
- 天気:晴れ
- 潮:大潮
- 水温:13.0℃
- 気温:13.0℃
- チヌ 35-48㎝ 合計 3 匹
- コノシロ 23-25cm合計 12 匹
- カタクチイワシ 6-8㎝ 合計 20 匹
- サッパ 6-8㎝ 合計 12 匹
- アジ 20~24cm合計 7 匹
開園時、波風共に穏やかです。
今日の鳴尾浜はサビキは調子が上がらず釣果は少なめです。チヌは35cm、48cmの2枚あがっております。
午後からもたくさんのお客様が釣りを楽しんでいますが、サビキ釣りでの釣果はあまりつれてませんね。 -
2025年4月26日(土)
- 天気:晴れ
- 潮:大潮
- 水温:13.0℃
- 気温:14.0℃
- チヌ 38-45cm 合計 3 匹
- アジ 20㎝~23cm 合計 6 匹
開園時、波風共に穏やかです。
日陰に入ると寒く感じます。
カタクチイワシの大群が朝方見えていましたが撒き餌に反応せず釣れていません。
今日のサビキは厳しいです。
チヌですがオキアミ餌の紀州釣、青虫のズボ釣りで釣れています。
お昼過ぎにサビキで良型アジが釣れました。
13時現在、南西の風あり白波が立っています。
お昼過ぎにからも沢山の家族連れお客様がサビキ釣りをされてましたが風と白波で
昨日程 釣果はありませんでした -
2025年4月25日(金)
- 天気:曇り
- 潮:中潮
- 水温:13.5℃
- 気温:16.0℃
- チヌ 46-48㎝ 合計 5 匹
- アジ 20-23cm合計 15 匹
開園時、波風共に穏やかです。
今日の鳴尾浜は数が少ないですが朝一でアジが釣れていました。チヌは落とし込みの方が餌グミでチヌ48cmあげられています。
午後2時現在、南南西の風1.5m、薄曇り、気温21.5℃。先程あじが違う場所で2匹釣れました。アジはその後もパラパラとあがった場所がありました。 -
2025年4月24日(木)
- 天気:曇り
- 潮:中潮
- 水温:12.5℃
- 気温:14.0℃
- チヌ 46cm合計 1 匹
- ハネ 55cm合計 1 匹
- カタクチイワシ 5-10cm合計 4 匹
- アジ 19~24cm合計 7 匹
開園時、波風共に穏やかです。
本日早朝は曇っており、肌寒く水温も先週に比べて下がってしまいました。
そのせいか、サビキもチヌも釣果は今一つ・・・。
以前の様に、1日数十匹もあがりませんね。
その中で、ハネ55cm、チヌ47cm(フカセづり・オキアミ)があがっております!
ハネはエビ撒き釣との事。ブツエビとシラサエビMIXの中、挿餌をシラサ、撒き餌をブツエビにして上手に釣られていました。
サビキでは、カタクチ数匹とアジがあがっております!
数はすくないですが どれも形の良いアジでした -
2025年4月23日(水)
- 天気:雨
- 潮:若潮
- 水温:13.0℃
- 気温:17.0℃
- チヌ 49.5cm合計 1 匹
- カタクチイワシ 5-6cm合計 2 匹
- アジ 23㎝ 合計 1 匹
開園時、波風共に穏やかですが雨は降っています。
雨はあがり曇り空な鳴尾浜ですが、釣果はあまり上がってません。お昼前に釣場中央でフカセ釣りの方がチヌ49.5cmあげられています。餌オキアミです。
15時過ぎ現在、4名お客様が釣りをされていますが釣果の方は今の所午前中のチヌとカタクチイワシと午後からはアジが釣れています。 -
2025年4月22日(火)
- 天気:晴れ
- 潮:長潮
- 水温:13.5℃
- 気温:18.0℃
- チヌ 40-43cm 合計 2 匹
- サッパ 10cm 合計 1 匹
- カタクチイワシ 5-10cm 合計 20 匹
開園時、波風共に穏やかです。
サビキが今日は不調です。
魚群は見えるのですが撒き餌に反応しません。
日が高くなって少しだけカタクチイワシが釣れました。
午前中にチヌの方はオキアミ、コーン餌のフカセ釣りで釣れています。
今日の午前中はチヌもサビキもよくないようです。
午後からに期待します。
午後5時近くになりました。雲が厚くなってきました、お天気下り坂のようです。午後の釣果はほとんどありません。 -
2025年4月21日(月)
- 天気:晴れ
- 潮:小潮
- 水温:13.5℃
- 気温:13.5℃
- カタクチイワシ 5-10cm合計 20 匹
- チヌ 43-46cm合計 4 匹
開園時、少し風が吹いています。
先週からサビキが回り始めましたね!
ただ、本日はなかなか厳しく・・・。
カタクチイワシの群れがたくさん泳いでいるのは見えるのですが、アミエビには無反応の時間帯が多かったです。
釣られていたお客様は20匹程ゲット☆
ただ、釣れた時間も1時間くらいだったそうなので、なかなか手強そうですね。2号の鈎を使ってらっしゃいました。
チヌも先週に比べて本日は釣りづらく・・・。
お上手な常連様がたくさんいらっしゃいますが、皆様当たりも無い様子。
そんな中、フカセ釣り(餌オキアミ)でチヌ43-46cm程ゲットされているレジェンドがいらっしゃいました。
お見事です!
16時現在、本日は過ごしやすい天候の鳴尾浜ですが釣果は上がらずです。
ARCHIVE アーカイブ
- 2028年12月 (1)
- 2026年3月 (5)
- 2026年2月 (28)
- 2026年1月 (28)
- 2025年12月 (28)
- 2025年11月 (30)
- 2025年10月 (31)
- 2025年9月 (30)
- 2025年8月 (31)
- 2025年7月 (31)
- 2025年6月 (30)
- 2025年5月 (31)
- 2025年4月 (30)
- 2025年3月 (31)
- 2025年2月 (23)
- 2025年1月 (27)
- 2024年12月 (26)
- 2024年11月 (30)
- 2024年10月 (31)
- 2024年9月 (30)
- 2024年8月 (26)
- 2024年7月 (31)
- 2024年6月 (30)
- 2024年5月 (31)
- 2024年4月 (30)
- 2024年3月 (31)
- 2024年2月 (28)
- 2024年1月 (28)
- 2023年12月 (28)
- 2023年11月 (30)
- 2023年10月 (31)
- 2023年9月 (30)
- 2023年8月 (30)
- 2023年7月 (31)
- 2023年6月 (30)
- 2023年5月 (31)
- 2023年4月 (30)
- 2023年3月 (31)
- 2023年2月 (28)
- 2023年1月 (28)
- 2022年12月 (28)
- 2022年11月 (30)
- 2022年10月 (31)
- 2022年9月 (31)
- 2022年8月 (32)
- 2022年7月 (31)
- 2022年6月 (30)
- 2022年5月 (31)
- 2022年4月 (28)
- 2022年3月 (31)
- 2022年2月 (27)
- 2022年1月 (28)
- 2021年12月 (28)
- 2021年11月 (30)
- 2021年10月 (31)
- 2021年9月 (30)
- 2021年8月 (31)
- 2021年7月 (31)
- 2021年6月 (30)
- 2021年5月 (31)
- 2021年4月 (30)
- 2021年3月 (31)
- 2021年2月 (28)
- 2021年1月 (28)
- 2020年12月 (28)
- 2020年11月 (30)
- 2020年10月 (31)
- 2020年9月 (30)
- 2020年8月 (31)
- 2020年7月 (31)
- 2020年6月 (30)
- 2020年5月 (3)
- 2020年4月 (13)
- 2020年3月 (31)
- 2020年2月 (27)
- 2020年1月 (28)
- 2019年12月 (28)
- 2019年11月 (30)
- 2019年10月 (31)
- 2019年9月 (30)
- 2019年8月 (34)
- 2019年7月 (32)
- 2019年6月 (30)
- 2019年5月 (31)
- 2019年4月 (30)
- 2019年3月 (31)
- 2019年2月 (25)
- 2019年1月 (28)
- 2018年12月 (28)
- 2018年11月 (12)
- 2018年9月 (5)
- 2018年8月 (33)
- 2018年7月 (31)
- 2018年6月 (30)
- 2018年5月 (31)
- 2018年4月 (30)
- 2018年3月 (31)
- 2018年2月 (28)
- 2018年1月 (28)
- 2017年12月 (28)
- 2017年11月 (30)
- 2017年10月 (31)
- 2017年9月 (30)
- 2017年8月 (31)
- 2017年7月 (31)































