-
2022年1月11日(火)
- 天気:雨→曇
- 潮:小潮
- 水温:10.5℃
- 気温:6.0℃
開園時、波風共に穏やかですが、弱い雨が降っています。
連休明けの冷たい雨の日のためか、11時になってもお客様は一人もいません。そのため釣果もありません。
午後3時現在、西の風0.5m、気温9.5。海面穏やか。雨があがり空が明るくなってきました。
午後4時を過ぎ陽射しがでてきました。日没まであと1時間。来場者なし。
今日は午前中雨で午後止んだものの、日没からまた西風が吹き出して落ち着かない気象の一日です。釣果もありませんでした。 -
2022年1月10日(月)
- 天気:晴れ
- 潮:小潮
- 水温:10.5℃
- 気温:6.0℃
- チヌ 36~42cm 合計 3 匹
開園時、波風共に穏やかです。
本日は1月とは思えないほど暖かく、成人式を祝うような晴天となっています。
13時現在で気温12度、陽射しを浴びていると汗ばみ皆さん上着を減らしのんびりとされ、ファミリーさんはピクニックのような雰囲気で過ごされていらっしゃいます。
午前中の釣果は8時過ぎにチヌ36cmがフカセ釣り(刺し餌オキアミ)で一匹釣れたのみとなっています。今日は西宮神社の「十日えびす」で、えべっさんは商売繁盛と福神、そして豊漁の神様。えびっさんにとって一年で一番忙しく神社の祭事で鳴尾浜にはお留守なご様子。午後に帰ってきてほしいものです。
午後4時、今の釣果ですが、厳しい状況です。今からでも頑張って下さい。お隣の尼崎海づり広場で入られない方がこちらに来られています。
4時半頃、チヌが釣れました。フカセ釣りで餌はオキアミで底でした。40㎝でした。 -
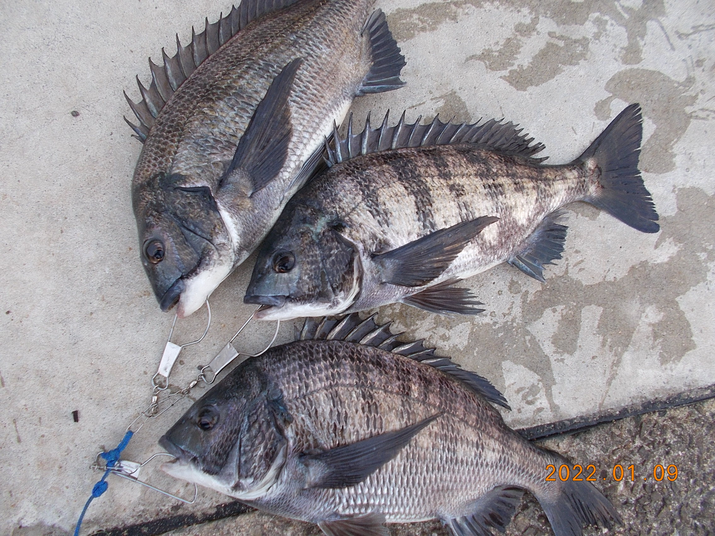
2022年1月9日(日)
- 天気:晴れ
- 潮:小潮
- 水温:10.0℃
- 気温:1.0℃
- チヌ 36~48cm 合計 8 匹
開園時、波風共に穏やか。
今日は夜明けから快晴で、風も無くとても良い釣り日和となっています。陽射しもたっぷりとありポカポカ陽気で、皆さんのんびりとした休日を過ごしておられますが、釣果はありません。
午前10時頃に、東側でチヌの48cmがフカセ釣りで上がりました。タナは底で、餌はオキアミとコーンです。月間大物が更新されました。最近はチヌが好調で良型サイズがコンスタントに釣れています。それでもやはりチヌ釣りは難度の高い釣りの為、皆さん黙々と頑張っています。キッズのみんなもたくさん釣りをして、どんどん腕を上げて大きなチヌを狙いましょう。
今日の午前中の釣果は、残念ながらチヌ1匹だけでした。午後からに期待したいです。
15時現在、波風共に穏やかで気温の方も12℃と3月並みの気温だそうです。
釣果の方ですがお子様連れのお客様がサビキ仕掛けで釣りを楽しんいます。残念ながら釣果は出ていませんが、尼崎の魚つり公園ではマイワシが釣れているらしいので、もしかしたらこちらの方に回遊があるかも?
水鳥が3~4匹魚を狙って潜っていますが魚がいないようで…、静かな鳴尾浜です。
午後5時ごろ、チヌが釣れました。フカセ釣りで餌はオキアミで底でした。こちら方一人で7匹釣られました。朝の方と合わせて8匹釣り上げられました。
-
2022年1月8日(土)
- 天気:晴れ
- 潮:中潮
- 水温:10.0℃
- 気温:3.0℃
- チヌ 31.0ー46.5㎝ 合計 3 匹
開園時、波風共に静か。10時現在、陽も上がり風も無くポカポカ陽気で絶好の釣り日和ですが釣果の方は残念ながらありません。10時過ぎに東側で
チヌ 46.5㎝が上がりました月間大物賞更新しました。13時現在、南の風が少し出ていますが暖かく感じます。釣果の方はお昼前に西側でチヌ2匹が上がっています。
午後3時半現在、南西の風0.5-1.5m、晴れ、気温10℃。海上波ほとんどなし。釣果は午前のチヌのみ。
今日は三連休の初日とあってかチラホラ家族連れのご来場もありましたがサビキ釣りが全く釣れないので皆さん手持ち無沙汰のご様子でした。。 -
2022年1月7日(金)
- 天気:曇り
- 潮:中潮
- 水温:10.0℃
- 気温:4.0℃
開園時、北からの弱い風、波穏やか。
時間が経つにつれ北西の風に変わり(鳴尾浜では北西の風=真横からの風)、曇り空で陽がないため来場された方も「今日は寒そうやな…」とおっしゃりながら入場されています。言葉通り今日は大変寒く感じます、防寒対策はしっかりとなさって下さい。
お昼前から時折陽射しが出だし、陽に当たるとホッ…と寒さが和らぎます。この調子で釣果も出ないか期待したいのですが、なかなか冬の海は手強く釣果は難しい様子です。
16時現在、波風共に穏やかで時折日が射し込むと寒さも和らぎます。
釣果の方ですが只今海釣り広場のお客様は6名程の方が紀州釣りやフカセ釣り等で楽しんでいただいています、残念ながらアタリも無いようです。
去年年末にお伝えいたしました鳴尾浜南岸での工事、内容がわかりましたのでお知らせいたします。
「鳴尾浜地区 護岸改修工事」場所は鳴尾浜臨海公園海づり広場東側テトラ帯約50m。期間は2月中旬頃から3月中旬頃までの約1ヶ月間を予定。
一年前の護岸嵩上げ工事と波消しブロック再設置の延長工事となり、現在のテトラポットの上にもう一段5tテトラポットを積み重ね、波消しブロックの嵩上げを行うとの事です。
今回も前回同様起重機船による積み上げ工事となり、この工事の影響から、安全確保のため期間中 東テトラ帯が立ち入り禁止となります。
詳しい日程がわかり次第、再度HPでお知らせをいたします。ご迷惑をかけ致しますが、ご理解 ご協力をお願い致します。。
-
2022年1月6日(木)
- 天気:曇り
- 潮:中潮
- 水温:10.0℃
- 気温:3.0℃
- ガシラ 22-23cm 合計 3 匹
- セイゴ 20-23㎝ 合計 2 匹
- 穴子 48cm 合計 1 匹
開園時、風も無く波も穏やかです。天気は曇り空で、今にも降り出しそうです。予報ではこの後は晴れに向かう予報となっています。
9時を過ぎたあたりから、ごく弱い小雨が降ったり止んだりを繰り返しています。釣りに影響を与える程の雨ではないのですが、陽射しが無いため肌寒く感じます。風が無いのが幸いですが、防寒対策はしっかりとした方が良いでしょう。
10時現在、7名程のお客様が、フカセ釣りやサビキ釣りで頑張っておられますが、まだアタリも無いと嘆いています。まだまだこれからに期待しましょう。
午後になり天気も回復してきました。午前中は残念ながら釣果は確認できませんでした。これから夕方や夜に期待したいです。
午後3時半、遠くの煙突のけむりが真上に上がっています、風がほとんどなく穏やかな天候。釣果は見あたりません。
夕方以降に上記釣果がありました。エサ青イソメ等。 -
2022年1月5日(水)
- 天気:曇り
- 潮:中潮
- 水温:10.0℃
- 気温:3.0℃
- チヌ 36~44cm 合計 4 匹
開園時、波風共に静か。
10時現在、昨日と違って北風3~4m波は静で、釣り場は穏やかです。十数人ほどの釣り人がフカセ釣り・ノマセ釣り・サビキ釣りと頑張って釣りをされていますが釣果の方は渋く未だ上がっていません。東側でフカセ釣り(エサ:オキアミ)をされている方が、36cmのチヌを上げられていました。
午後3時半釣果の方は寒いせいかあまり釣れていません。皆さん頑張っておられます。先程のチヌ3匹に加えて夕方もう1匹チヌ釣り上げられました。
-
2022年1月4日(火)
- 天気:曇り
- 潮:大潮
- 水温:10.0℃
- 気温:2.0℃
- チヌ 45㎝ 合計 1 匹
- ガシラ 20㎝ 合計 1 匹
開園時、西からの風3~4m/s、時折白波が見えます。
本日、2022年1月4日(火)からの営業再開となります、本年もよろしくお願い致します。 冬休み中で朝早くから多くの家族連れのお客様お見えになり子供も賑わっています今日は朝から西の風が吹き冷たい初日です。10時現在の釣果ですがサビキ釣り フカセ釣り ノマセ釣り共に
釣果がありません、冷たい風と寒さで帰られるお客様も増えています。来園の際は防寒対策をしっかりしてお越しください。
10時過ぎに西側でチヌが上がりました今年の1匹目です。13時現在 風と、寒さの中30名程のお客様が頑張っておられます釣果の方はコーンを餌にチヌが1匹上がっただけで渋い一日になっております。
午後3時現在、西の風2.0-3.0m、海上穏やか。特に釣果見当たりません。
日没後にガシラが1匹釣れました。午後の釣果はこれだけです。
【 鳴尾浜海づり広場 12月の月間大物賞発表 】
鳴尾浜臨海公園 海づり広場では毎月、月間大物賞としてスズキ部門、チヌ部門、その他の部門の三部門に分け、その月一番大きな魚を釣ったお客様にすてきな商品を進呈しております。
エントリーされる方はスケールボードで長寸を測り、記録を残しますので、管理棟までお持ち下さい。
2021年 12月の月間大物賞 発表
スズキの部門 スズキ エントリー無し
チヌの部門 チヌ 50.0㎝ 東大阪市 中川様 12月10日
その他の部門 ブリ 92.0㎝ 尼崎市 松永様 12月25日
以上の結果となりました。
入賞を果たされました方は粗品をお渡しいたしますので引き換え券を持って、管理棟のスタッフにお伝えください。
《 12月月間大物賞発表詳細 》
ARCHIVE アーカイブ
- 2028年12月 (1)
- 2026年5月 (14)
- 2026年4月 (30)
- 2026年3月 (31)
- 2026年2月 (28)
- 2026年1月 (28)
- 2025年12月 (28)
- 2025年11月 (30)
- 2025年10月 (31)
- 2025年9月 (30)
- 2025年8月 (31)
- 2025年7月 (31)
- 2025年6月 (30)
- 2025年5月 (31)
- 2025年4月 (30)
- 2025年3月 (31)
- 2025年2月 (23)
- 2025年1月 (27)
- 2024年12月 (26)
- 2024年11月 (30)
- 2024年10月 (31)
- 2024年9月 (30)
- 2024年8月 (26)
- 2024年7月 (31)
- 2024年6月 (30)
- 2024年5月 (31)
- 2024年4月 (30)
- 2024年3月 (31)
- 2024年2月 (28)
- 2024年1月 (28)
- 2023年12月 (28)
- 2023年11月 (30)
- 2023年10月 (31)
- 2023年9月 (30)
- 2023年8月 (30)
- 2023年7月 (31)
- 2023年6月 (30)
- 2023年5月 (31)
- 2023年4月 (30)
- 2023年3月 (31)
- 2023年2月 (28)
- 2023年1月 (28)
- 2022年12月 (28)
- 2022年11月 (30)
- 2022年10月 (31)
- 2022年9月 (31)
- 2022年8月 (32)
- 2022年7月 (31)
- 2022年6月 (30)
- 2022年5月 (31)
- 2022年4月 (28)
- 2022年3月 (31)
- 2022年2月 (27)
- 2022年1月 (28)
- 2021年12月 (28)
- 2021年11月 (30)
- 2021年10月 (31)
- 2021年9月 (30)
- 2021年8月 (31)
- 2021年7月 (31)
- 2021年6月 (30)
- 2021年5月 (31)
- 2021年4月 (30)
- 2021年3月 (31)
- 2021年2月 (28)
- 2021年1月 (28)
- 2020年12月 (28)
- 2020年11月 (30)
- 2020年10月 (31)
- 2020年9月 (30)
- 2020年8月 (31)
- 2020年7月 (31)
- 2020年6月 (30)
- 2020年5月 (3)
- 2020年4月 (13)
- 2020年3月 (31)
- 2020年2月 (27)
- 2020年1月 (28)
- 2019年12月 (28)
- 2019年11月 (30)
- 2019年10月 (31)
- 2019年9月 (30)
- 2019年8月 (34)
- 2019年7月 (32)
- 2019年6月 (30)
- 2019年5月 (31)
- 2019年4月 (30)
- 2019年3月 (31)
- 2019年2月 (25)
- 2019年1月 (28)
- 2018年12月 (28)
- 2018年11月 (12)
- 2018年9月 (5)
- 2018年8月 (33)
- 2018年7月 (31)
- 2018年6月 (30)
- 2018年5月 (31)
- 2018年4月 (30)
- 2018年3月 (31)
- 2018年2月 (28)
- 2018年1月 (28)
- 2017年12月 (28)
- 2017年11月 (30)
- 2017年10月 (31)
- 2017年9月 (30)
- 2017年8月 (31)
- 2017年7月 (31)


















